Ajurintaival 4
33880, Höytämö, Tampere, Lempäälä
400 000 €
8 000 m²

Tätä asuntoa myy Pasi Rasku, Kiinteistönvälittäjä LKV
Muutos LKV | Pirkanmaan Laatuvälitys Oy

Sijainti
Asuntoesittely
Myydään teollisuustontti – Lempäälä, Sääksjärvi
Myydään teollisuustontti – Lempäälä, Sääksjärvi
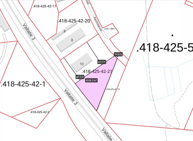
Tarjolla noin 8 000 m²:n määräala erinomaisella sijainnilla valtatie 3:n varrella Lempäälän Sääksjärvellä. Tontilla on rakennusoikeutta 4 000 m², ja kaavamerkintä on TY-27 (teollisuus- ja varastorakennusten korttelialue, ympäristöhäiriöitä aiheuttamaton toiminta).
Sijainti on logistiikan kannalta erinomainen – tontilta on melki suora yhteys pääväyliin, ja valtatie 3:n liikennevirta, noin 55 000 autoa vuorokaudessa, takaa yrityksellesi erinomaisen näkyvyyden ja saavutettavuuden.
Kohde soveltuu logistiikkaan, tuotanto- tai varastotoimintaan sekä yrityksille, jotka arvostavat näkyvyyttä, tilavuutta ja hyviä kulkuyhteyksiä.
Kohteen tiedot:
-Sijainti: Lempäälä, Sääksjärvi
-Myyntihinta: 400 000€
-Määräalan koko: 8000 m²
-Rakennusoikeus: 4000 m²
-Kaava: kaavamerkintä on TY-27
-Logistisesti helppo sijainti, hyvät yhteydet pääväylille
-Näkyvyys taattu, 55 000 autoa vuorokaudessa
Tontti tarjoaa erinomaisen mahdollisuuden yrityksellesi kasvaa ja sijoittua näkyvälle paikalle valtaväylän varteen.
Ota yhteyttä ja varaa näyttö:
Pasi Rasku, LKV
0400 171 191
[email protected]
www.muutoslkv.fi
--------------------------------------------------------------------
Etsitkö vuokralaista tai ostajaa toimitilallesi?
Ota yhteyttä – autan sinua löytämään parhaan ratkaisun.
Pasi Rasku
Laillistettu kiinteistönvälittäjä LKV
Tampere – tunnettu, luotettava ja tehokas
www.pasirasku.fiPerustiedot
- Sijainti
- Ajurintaival 4, 33880, Höytämö, Tampere, Lempäälä
- Kohteen tyyppi
- Liike- ja teollisuustontti
- Kohde myydään vuokrattuna
- Ei
- Vapautuminen
- Sopimuksen mukaan
Hinta ja kustannukset
- Velaton hinta
- 400 000 €
- Myyntihinta
- 400 000 €
Tilat ja materiaalit
Lisätiedot
Taloyhtiö ja kiinteistö
- Tontin pinta-ala
- 8 000 m²
- Tontin omistus
- Oma
- Tontin tyyppi
- Tasamaatontti
- Tontin myyntityyppi
- Määräala
- Lisätietoa rakennusoikeudesta
- Kaavan mukaan tontin käytetystä rakennusoikeudesta saa enintään 5% käyttää tontin pääkäyttötarkoitukseen liittyviä myymälätiloja varten. Korttelialueelle rakennettaessa on kiinnitettävä huomiota kaupunkikuvallisiin näkökohtiin, valtatien 3 vastaisiin julkisivuihin ja käyttää laadukaita rakennusmateriaaleja.
- Tie perille
- Kyllä
- Kaavatilanne
- Asemakaava ja yleiskaava
- Kaavoitustiedot
- TY-27: Teollisuusrakennusten kortelialue, jolla ympäristö asettaa toiminnan laadulle erityisiä vaatimuksia. Alueella tulee mm. erityisesti välttää melua, tärinää, ilman epäpuhtauksia ja hajuhaittoja. Myytävä kohde on kaavan mukaan ohjeellisen tonttijaon aluetta. Joissakin tapauksissa tila-muotoinen tontti ei vastaa kaavan mukaisen tontin rajoja ja sen alueita. Kaavatontin pinta-ala ja tontin rajat voivat poiketa tulevan tilan pinta-alasta ja rajoista. Mahdollisista tontin muodostamiskustannuksista vastaa ostaja.
