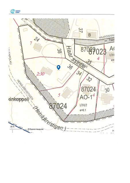
Haarssintie 36
02970, Lahnus, Espoo
178 000 €
0,3131 ha

Tätä asuntoa myy Oula Rekan, Myyntineuvottelija, KiLAT
RE/MAX Kodit | SK Välitys Oy

Sijainti
Asuntoesittely
Haarssintie 36, Espoon Lahnuksessa, tarjoaa mahdollisuuden rakentaa unelmiesi omakotitalo rauhalliselle ja viihtyisälle alueelle. Tämä koko tontti 3130 m² joka mahdollistaa myös kahden omakotitalon rakentamisen, rakennusoikeutta 313 k-m2 + varastotiloja, joten mahdollisuuksia on vaikka rakennusliikkeen hankkeelle.
Lähikauppana toimii K-Market Kalajärvi, Klaukkalan monipuoliset palvelut ovat myös helposti saavutettavissa. Tontti on osittain rinnetontti, mutta tarjoaa loistavan tilaisuuden monimuotoiseen rakentamiseen ja rakentaa juuri sinun tarpeidesi mukainen koti.
Myllyjärven uimapaikka sijaitsee kätevästi noin 200 metrin päässä.
Tartu tilaisuuteen ja suunnittele tulevaisuutesi tässä rauhallisessa ja perheystävällisessä ympäristössä Espoon Luukissa.
Tiedustelut ja esittelyvaraukset:
Timo Mähönen 045 8640 052 [email protected]
Oula Rekan 045 896 3799 [email protected]
Perustiedot
- Sijainti
- Haarssintie 36, 02970, Lahnus, Espoo
- Kohteen tyyppi
- Omakotitalotontti
- Rakennusvuosi
- 1935
- Kohde myydään vuokrattuna
- Ei
- Vapautuminen
- Kolme kuukautta kaupoista tai sopimuksen mukaan
Hinta ja kustannukset
- Velaton hinta
- 178 000 €
- Myyntihinta
- 178 000 €
- Kiinteistövero (€/vuosi)
- 1 200 €
- Sähköliittymä siirtyy
- Kyllä
Tilat ja materiaalit
Lisätiedot
- Asunnon kunto
- Välttävä
Taloyhtiö ja kiinteistö
- Tontin pinta-ala
- 0,3131 ha
- Tontin omistus
- Oma
- Tontin tyyppi
- Rinnetontti
- Tontin myyntityyppi
- Koko tontti
- Tontin tiedot
- Tontilla 2 kpl purettavia rakennuksia, ostaja ottaa vastattavakseen rakennusten purkamisen sekä purkamisesta aiheutuvat kustannukset.
- Vesijohto
- Kunnallisvesi
- Viemäröinti
- Kunnallinen viemäriverkosto
- Rakennusoikeus
- 313.1
- Lisätietoa rakennusoikeudesta
- Koko kiinteistön rakennusoikeuden määrä on 313 kerros / m2. Tontin täyttä 1200 m2 kohti saadaan rakentaa yksi asunto. Lisäksi kiinteistöllä on 30 kerros / m2 / asuntoa kohti säilytystiloja.
- Rakennusoikeus e-luku
- 0.1
- Tie perille
- Kyllä
- Palvelut
- K-Market Kalajärvi. Klaukkala.
- Koulut
- Koulut: Lahnuksen koulu. Kalajärven ala-aste.
- Kaavatilanne
- Asemakaava
- Asbestikartoitus
- Ei
