Joukahaisensola 15
60120, Pohja, Seinäjoki
49 000 €
1 034 m²

Tätä asuntoa myy Mikko Jantunen, Yrittäjä, kiinteistönvälittäjä LKV
Sp-Koti Seinäjoki | Lakeuden Oma Koti Oy

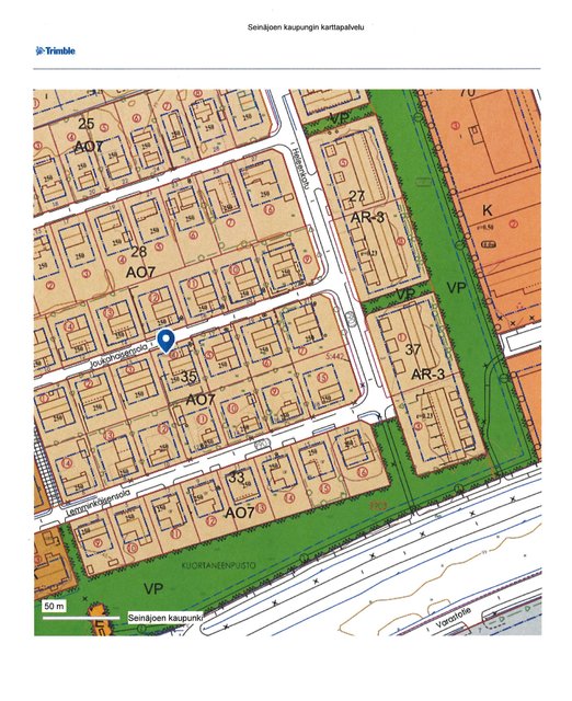
Sijainti
Asuntoesittely
Pohjan suositulta asuinalueelta, vain reilun kilometrin etäisyydellä keskustasta oleva omakoti- tai paritalotontti.
Tontin pinta-ala 1.034 m². Kokonaisrakennusoikeus on 250 k-m².
Tontilla on purettava rakennus, jonka purkukustannuksista vastaa ostaja. Varsinaista purkuvelvoitetta ei ole.
Kauppaan kuuluvat kaukolämpöliittymä, sähköliittymä, sekä kunnalliset vesi- ja viemäriliittymät.
Lisätiedot: [email protected] / puh. 0400 283665
Perustiedot
- Sijainti
- Joukahaisensola 15, 60120, Pohja, Seinäjoki
- Omistusmuoto
- Omistusasunto
- Kohteen tyyppi
- Omakotitalotontti
- Lisätietoja rakennusvuodesta
- Kiinteistöllä sijaitsee vuonna 1968 rakennettu n. 120 m² omakotitalo, jonka purkukustannuksista vastaa ostaja
- Kohde myydään vuokrattuna
- Ei
- Vapautuminen
- Heti
Hinta ja kustannukset
- Velaton hinta
- 49 000 €
- Myyntihinta
- 49 000 €
- Sähköliittymä siirtyy
- Kyllä
Tilat ja materiaalit
Lisätiedot
Taloyhtiö ja kiinteistö
- Tontin pinta-ala
- 1 034 m²
- Tontin omistus
- Oma
- Tontin tyyppi
- Tasamaatontti
- Tontin myyntityyppi
- Koko tontti
- Rakennusmateriaali
- Betoni, puu ja tiili
- Lämmitysjärjestelmä
- Kaukolämpö
- Ilmanvaihto
- Painovoimainen ilmanvaihto
- Vesijohto
- Kunnallisvesi
- Viemäröinti
- Kunnallinen viemäriverkosto
- Kattotyyppi
- Harjakatto
- Katemateriaali
- Huopa
- Rakennusoikeus
- 250
- Lisätietoa rakennusoikeudesta
- Seinäjoen kaupunki / rakennusvalvonta
- Kohteesta on energiatodistus
- Kohteella ei energiatodistuslain nojalla tarvitse olla energiatodistusta
- Tie perille
- Kyllä
- Kaavatilanne
- Asemakaava
- Kaavoitustiedot
- Seinäjoen kaupunki
- Kuntotutkimus tehty
- 20.01.2020