Puimurikuja 1
08350, Routio, LOHJA, Lohja
44 000 €
2 966 m²

Tätä asuntoa myy Matti Kupari, Myyntipäällikkö, LKV. Kaupanvahvistaja
Huoneistokeskus Oy | Lohja

Sijainti
Asuntoesittely
Upea omakotitalotontti Lohjanjärven tuntumassa!
Puimurikuja 1:ssä Lohjalla sijaitsee upea rakennuspaikka, joka tarjoaa täydellisen mahdollisuuden toteuttaa unelmiesi omakotitalo. Tämä 2966 m²:n kokoinen tontti sijaitsee rauhallisella alueella, mutta silti lähellä kaupungin palveluita ja erinomaisia liikenneyhteyksiä. Rakennusoikeutta lähes 600 m2 !
Tontilta on vain muutaman minuutin matka Lohjan keskustaan ja moottoritielle, mikä tekee arjen liikkumisesta sujuvaa. Lähistöltä löytyvät myös Roution yhtenäiskoulu ja Jalavan erityiskoulu, joten lapsiperheille tämä sijainti on erityisen sopiva. Päiväkotikin sijaitsee myös kätevästi lähietäisyydellä.
Lähellä sijaitsevat uimarannat tarjoavat mahdollisuuden nauttia kesäpäivistä veden äärellä ja Lohjanjärven läheisyys tuo mukanaan kauniit maisemat. Tontin ympäristö on vehreä ja rauhallinen, mikä luo ihanteelliset puitteet perhe-elämälle ja esim. ulkoilulle.
Tartu tilaisuuteen ja suunnittele unelmiesi koti tälle uudelle tontille Lohjan kauniissa maisemissa!Perustiedot
- Sijainti
- Puimurikuja 1, 08350, Routio, LOHJA, Lohja
- Kohteen tyyppi
- Omakotitalotontti
- Kohde myydään vuokrattuna
- Ei
- Vapautuminen
- Heti
Hinta ja kustannukset
- Velaton hinta
- 44 000 €
- Myyntihinta
- 44 000 €
- Kiinteistövero (€/vuosi)
- 1 429,46 €
Tilat ja materiaalit
Lisätiedot
- Asunnon kunto
- Uusi
- Lisätietoja kunnosta
- Maaperätutkimusta ei ole tehty.
- Muut kaupan kannalta merkittävät tiedot
- Lohjanjärven tuntumassa, erinomaiset liikenneyhteydet
Taloyhtiö ja kiinteistö
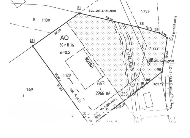
- Tontin pinta-ala
- 2 966 m²
- Tontin omistus
- Oma
- Tontin tyyppi
- Tasamaatontti
- Tontin myyntityyppi
- Koko tontti
- Tontin tiedot
- Tontti laskeutuu loivasti Hossantien suuntaan. Tontti on luonnontilainen; heinikkoa, iso koivu ja pensaikkoa. Maaperätutkimusta ei ole tehty. Tontilla on liitosvalmius kunnalliseen vesijohtoon ja viemärijohtoon.
- Rakennusoikeus
- 593.2
- Rakennusoikeus e-luku
- 0.2
- Kohteesta on energiatodistus
- Kohteella ei energiatodistuslain nojalla tarvitse olla energiatodistusta
- Liikenneyhteydet
- Bussipysäkki lähellä, hyvät pyöräilytiet, kaupunkiliikenneyhteys, hyvä kulkuyhteys ja sujuvat yhteydet omalla autolla
- Lisätietoja liikenneyhteyksistä
- Moottoritieliittymä n. 5 min ja Lohjan keskusta n. 6 min.
- Tie perille
- Kyllä
- Palvelut
- Hiidensalmen S-Kauppa n. 1,4 km / n. 3 min. ABC/Karnainen/Lohja, mm. S-Kauppa, Pentik n. 3 km / n. 5 min. Helsinki-Turku moottoritie E18-liittymä n. 3 km / n. 5 min Lohja/Keskusta n. 3 km / n. 6 min.
- Koulut
- Roution yhtenäiskoulu n. 1,8 km / n. 4 min. Jalavan erityiskoulu n. 1,9 km / n. 4 min.
- Kaavatilanne
- Asemakaava
- Kaavoitustiedot
- Sitova tonttijako. AO 1/2 r II 1/2
