Seljamäki 16
02770, Saarniraivio, Kiltakallio, Espoo
549 000 €
3 243 m²

Tätä asuntoa myy Jarkko Partanen, Kiinteistönvälittäjä, LKV
Huoneistokeskus Oy | Espoo

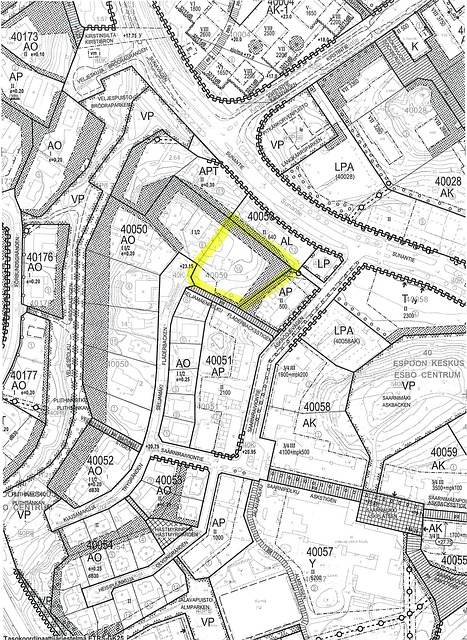
Sijainti
Asuntoesittely
Loistavalla paikalla Saarniraiviossa tontti 3 243 m2. UUSI HINTA 549 000 euroa.
Mahdollista rakentaa erillistaloja, rakennusten lukumäärää ei ole rajoitettu.
Rakennusoikeus e=0,2 yhteensä 649 m2 + 98 m2.
Vahvistettu asemakaava AO II: Erillispientalojen korttelialue.
Tontilla sijaitsee 1961 valmistuneet purettava asuinrakennus 86 m2.
Ostaja vastaa purkukustannuksista.
Vesi- ja viemäriliittymä sekä sähköliittymä siirretään ostajalle.
Kohteen tiedot voit tilata sähköpostilla: myyntiesite, alustavat maaperätiedot, tonttikartta, kaavaote ja määräykset ym.
Voit käydä vapaasti tutustumassa kohteeseen paikan päällä.
Tiedustelut ja esitetilaukset voi sopia Jarkko Partanen 0500 409 631 tai [email protected]
Asuntokauppaa jo 35 vuoden ja 4000 kaupan kokemuksella.
Perustiedot
- Sijainti
- Seljamäki 16, 02770, Saarniraivio, Kiltakallio, Espoo
- Omistusmuoto
- Omistusasunto
- Kohteen tyyppi
- Rivitalotontti
- Kohde myydään vuokrattuna
- Ei
- Vapautuminen
- Heti
Hinta ja kustannukset
- Velaton hinta
- 549 000 €
- Myyntihinta
- 549 000 €
- Lisätietoja maksusta
- Tietoja kiinteistöverosta: 7810,13. Lisätietoja vastikkeista: Kiinteistövero on kokonaisuudessaan 7 810,13 euroa / 2023. Kiinteistövero sisältää maapohja sekä asuinrakennus ja talousrakennus. Varainsiirtovero 4 % kauppahinnasta (lainhuuto).
Tilat ja materiaalit
Lisätiedot
Taloyhtiö ja kiinteistö
- Tontin pinta-ala
- 3 243 m²
- Tontin omistus
- Oma
- Tontin tyyppi
- Rinnetontti
- Tontin myyntityyppi
- Koko tontti
- Tontin tiedot
- Alustavien määperätietojen mukaan. Rakennattavuusluokka 2: Normaalisti rakennettava.
- Käyttö/luovutusrajoitukset
- Sähköliittymä siirretään kaupanteossa ostajalle. Lisätiedot Caruna puh. 0200 23 222. Espoon kaupungin vesi- ja viemäriliittymät siirretään ostajalle kaupanteossa. Espoon kaupungin maanalaisten johtojen sijaintikarttaa vesiliittymä on merkitty. Myyjällä ei ole tietoa vesi- ja viemärijohtojen sijainnista myytävällä tontilla. Vesi- ja viemärijohdot tulee uusia ja vanhat poistaa, kustannuksista vastaa ostaja. Lisätiedot HSY puh. (09) 1561 2110. Kiinteistöllä oleva öljysäiliö sisältöineen jätetään tontille ja hävittämisestä aiheutuvista kuluista vastaa ostaja.
- Rakennusoikeus
- 649
- Lisätietoa rakennusoikeudesta
- Rakennusoikeus yhteensä 649 m2. Asuntojen käyttöön tulevia varasto ja yhteistiloja enintään 98 m2.
- Rakennusoikeus e-luku
- 0.2
- Lisätietoja liikenneyhteyksistä
- Bussit, juna-asema Tuomarila
- Palvelut
- Espoon keskus Kauppakeskus Entresse
- Koulut
- Alueella
- Kaavatilanne
- Asemakaava
- Kaavoitustiedot
- AO I 1/2 e=0,20. Erillispientalojen korttelialue: Kaavan merkitys rakennusoikeuden lisäksi alueelle saa rakentaa asuntojen käyttöön tulevia varastoja ja yhteistiloja kuitenkin enintään 15% merkitystä rakennusoikeudesta. Katso myös 1 §: Autopaikkoja on rakennettava vähintään seuraavasti. AO-tonteilla 2 autopaikkaa kutakin asuntoa kohti.
- Lisätietoa muista rakennuksista
- Rakennus myydään purkukuntoisena. Ostaja vastaa purkukustannuksista sekä muista mahdollisesti tontilla olevan irtaimiston hävittämisestä sekä öljysäiliön hävittämisestä. Espoon kaupungin rakennus- ja huoneistorekisteriotteen mukaan. Rakennus on valmistunut 1964. Kantavat rakenteet betoni, paikalla tehty. Rakennuksen kerrosala 86 k-m2, huoneistoala 77 m2. Lupatunnukset: 49-1981-1295-C ja 49-1964-168-C. Rakennuslupatunnus 49-435-1-209-1 muutospäivä 2011-04-12. Myyjälle ei ole rakennuksesta tarkempaa tietoa.
