Viputie 10
02940, Lippajärvi, Espoo
670 000 €
2 574 m²
Tätä asuntoa myy Jarkko Partanen, Kiinteistönvälittäjä, LKV
Huoneistokeskus Oy | Espoo

Sijainti
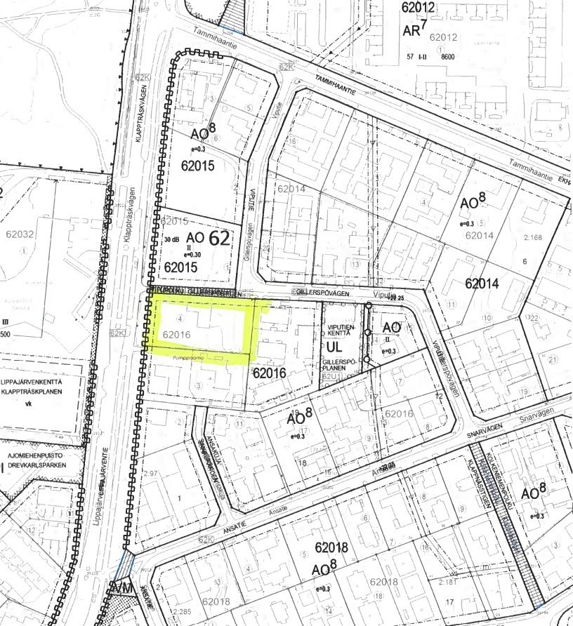
Asuntoesittely
Loistavalla paikalla Lippajärvellä tontti 2575 m2.
Mahdollista rakentaa erillistaloja tai paritaloja, rakennusten lukumäärää ei ole rajoitettu.
Rakennusoikeus e=0,3 yhteensä 773 k-m2.
Vahvistettu asemakaava AO 8: Erillisten enintään kaksikerroksisten ja kaksiasuntoisten pientalojen korttelialue. Rakennukset on sijoitettava vähintään 5 m naapuritontin rajasta ja tontille on rakennettava vähintään kaksi autopaikkaa asuntoa kohti.
Rakennettavuusluokka 2 Moreeni tontin yläosa länsipuoli sekä 4 Savi tontin alaosa itäpuoli sisääntulo tontille.
Tontilla sijaitsee 1968 valmistunut kaksikerroksinen tiilitalo n. 250 m2.
Ostaja vastaa rakennuksen, tontilla olevan öljysäiliön sekä sakokaivon purkukustannuksista.
Vesi- ja viemäriliittymä, sähköliittymä sekä kaukolämpö liittymä siirretään ostajalle.
Kohteen tiedot voit tilata sähköpostilla: myyntiesite, alustavat maaperätiedot, tonttikartta, kaavaote ja määräykset ym.
Jarkko Partanen 0500 409 631 tai [email protected]
Asuntokauppaa jo 35 vuoden ja 4000 kaupan kokemuksella.
Pohjakuva

Perustiedot
- Sijainti
- Viputie 10, 02940, Lippajärvi, Espoo
- Kohteen tyyppi
- Rivitalotontti
- Kohde myydään vuokrattuna
- Ei
- Vapautuminen
- Heti
Hinta ja kustannukset
- Velaton hinta
- 670 000 €
- Myyntihinta
- 670 000 €
- Lisätietoja maksusta
- Tietoja kiinteistöverosta: 2 111,57 e / 2024. Lisätietoja vastikkeista: Varainsiirtovero 3% (lainhuuto) kauppahinnasta. Myytävästä kohteesta tehdään ainoastaan käteiskauppa.
Tilat ja materiaalit
Lisätiedot
- Lisätietoja kunnosta
- Ostaja vastaa rakennuksen, kylmän varastorakennuksen n. 8 m2, tontilla olevan öljysäiliön, sakokaivon, mahdollisten muiden kaivojen sekä kaiken tontilla olevan irtaimiston purkukustannuksista. Öljysäiliö on tyhjennetty, puhdistettu ja täytetty, kun siirrytty kaukolämpöön (sijaitsee talon etelä nurkassa)
Taloyhtiö ja kiinteistö
- Tontin pinta-ala
- 2 574 m²
- Tontin omistus
- Oma
- Tontin tyyppi
- Rinnetontti
- Tontin myyntityyppi
- Koko tontti
- Tontin tiedot
- Tontilla sijaitsee 1968 valmistunut n. 240 m2 tiilitalo. Talo on liitetty kaukolämpöön, jossa yhteydessä maan alla oleva öljysäiliö tyhjennettiin ja puhdistettiin sekä täytettiin. Tontilla on vanha sakokaivo. Tontilla kulkee vesi- ja viemäjohdot sekä kaukolämpö Vipupolulta. Ostaja vastaa rakennuksen purkukuluista. Rakennettavuusluokat alustavine perustamistapoineen. Tontin yläpuoli (länsipuoli) 2 Moreeni. Normaalista rakennettava. Tontin alapuoli (itäpuoli sisääntulo tontille) 4 Savi. Vaikeasti rakennettava syvä pehmeikkö. Maaperä ja rakennettavuuskartta saatavilla välittäjällä.
- Rakennusoikeus
- 773
- Rakennusoikeus e-luku
- 0.3
- Lisätietoja liikenneyhteyksistä
- Bussit n. 0,2 km
- Tie perille
- Kyllä
- Palvelut
- Palvelut: K-Market Ravioli (0,4 km) K-Supermarket Lähderanta, S-market Lähderanta, ja Alepa sekä Kauniaisten palvelut.
- Koulut
- Auroran koulu 0,2 km, Viherlaakson koulu
- Kaavatilanne
- Asemakaava
- Kaavoitustiedot
- Vahvistettu asemakaava. AO 8: Erillisten enintään kaksikerroksisten ja kaksiasuntoisten pientalojen korttelialue. Rakennukset on sijoitettava vähintään 5 m naapuritontin rajasta ja tontille on rakennettava vähintään kaksi autopaikkaa asuntoa kohti. Kellaritason ohjeellinen minikorkeus on kaava-alueella +21,60. Kaavat, tonttijaot ja rakennuskiellot 1) Asemakaava (049-150700) Vahvistamispvm: 20.3.1975. Voimaantulopvm: 22.4.1975. 2) Sitova tonttijako (049-62016) Hyväksymispvm: 22.12.1975. 3) Yleiskaava (049-800000/j). Hyväksymis-/vahvistamispvm: 7.4.2008 Voimaantulopvm: 17.2.2010.